Se Connecter/S’inscrire
Votre courriel a été envoyé.
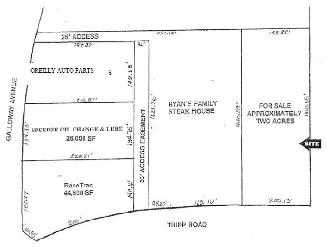
Tripp and Galloway in Mesquite. - Tripp at Galloway Lot • Terrain commercial • 2 Acres • 1 190 756 $ CAD • Mesquite, TX 75150


Certaines informations ont été traduites automatiquement.
Résumé de l'annonce
Le site de 2 acres est zoné General Retail. C'est un excellent site pour une banque, des cabinets médicaux, un restaurant ou un centre de vente au détail. Tous les services publics jusqu'au site.
Le site de vente au détail et de bureaux est situé sur Tripp Road et Galloway Avenue à Mesquite, au Texas.
Le site de vente au détail et de bureaux est situé sur Tripp Road et Galloway Avenue à Mesquite, au Texas.
Faits sur la propriété
1 Lot disponible
Lot 2
| Prix | 1 190 756 $ CAD | Taille du lot | 2,00 AC |
| Prix par AC | 595 378,06 $ CAD |
| Prix | 1 190 756 $ CAD |
| Prix par AC | 595 378,06 $ CAD |
| Taille du lot | 2,00 AC |
Description
NEQ Tripp et Galloway à Mesquite.
1 1
Moyennement practicable à pied
60/100
Exceptionnellement facile d'accès en voiture
100/100
Plutôt praticable en vélo
50/100
Impôts fonciers
| Numéro de lot | 65059407010040200 | Évaluation des bâtiments | 0 $ CAD |
| Évaluation du terrain | 605 232 $ CAD | Évaluation totale | 605 232 $ CAD |
Impôts fonciers
Numéro de lot
65059407010040200
Évaluation du terrain
605 232 $ CAD
Évaluation des bâtiments
0 $ CAD
Évaluation totale
605 232 $ CAD
1 de 3
Vidéos
Visite extérieure 3D Matterport
Visite 3D Matterport
Photos
Vue depuis la rue
Rue
Carte
1 de 1
Présenté par
Tripp and Galloway in Mesquite. - Tripp at Galloway
Vous êtes déjà membre? Connectez-vous
Hmm, il semble y avoir eu une erreur lors de l’envoi de votre message. Veuillez réessayer.
Merci! Votre message a été envoyé.
