Se Connecter/S’inscrire
Votre courriel a été envoyé.
US 27 & Windsor Drive
Cold Spring, KY 41076
US 27 & Windsor Drive · Terrain À vendre
·
3,97 AC


Certaines informations ont été traduites automatiquement.
Faits saillants de l'investissement
- 230 pi de façade routière sur le 27 US
- Environ 30 000 véhicules par jour
- Tous les services publics disponibles sur le site
Résumé de l'annonce
Une excellente occasion d'investissement pour des terrains vacants situés sur les rues très fréquentées de l'US 27 et de la promenade Windsor. Des entreprises importantes s'ouvrent et prospèrent dans les environs, comme LaRosa, Dunkin' Donuts, Kroger, Home Depot et Longhorn Steakhouse.
Faits sur la propriété
1 Lot disponible
Lot
| Prix | 582 424 $ CAD | Taille du lot | 3,97 AC |
| Prix par AC | 146 706,36 $ CAD |
| Prix | 582 424 $ CAD |
| Prix par AC | 146 706,36 $ CAD |
| Taille du lot | 3,97 AC |
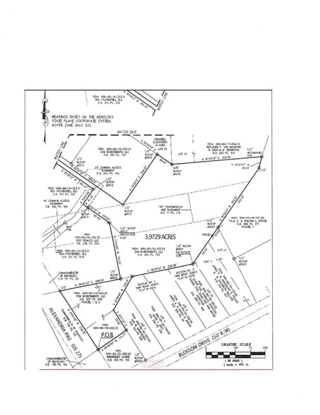
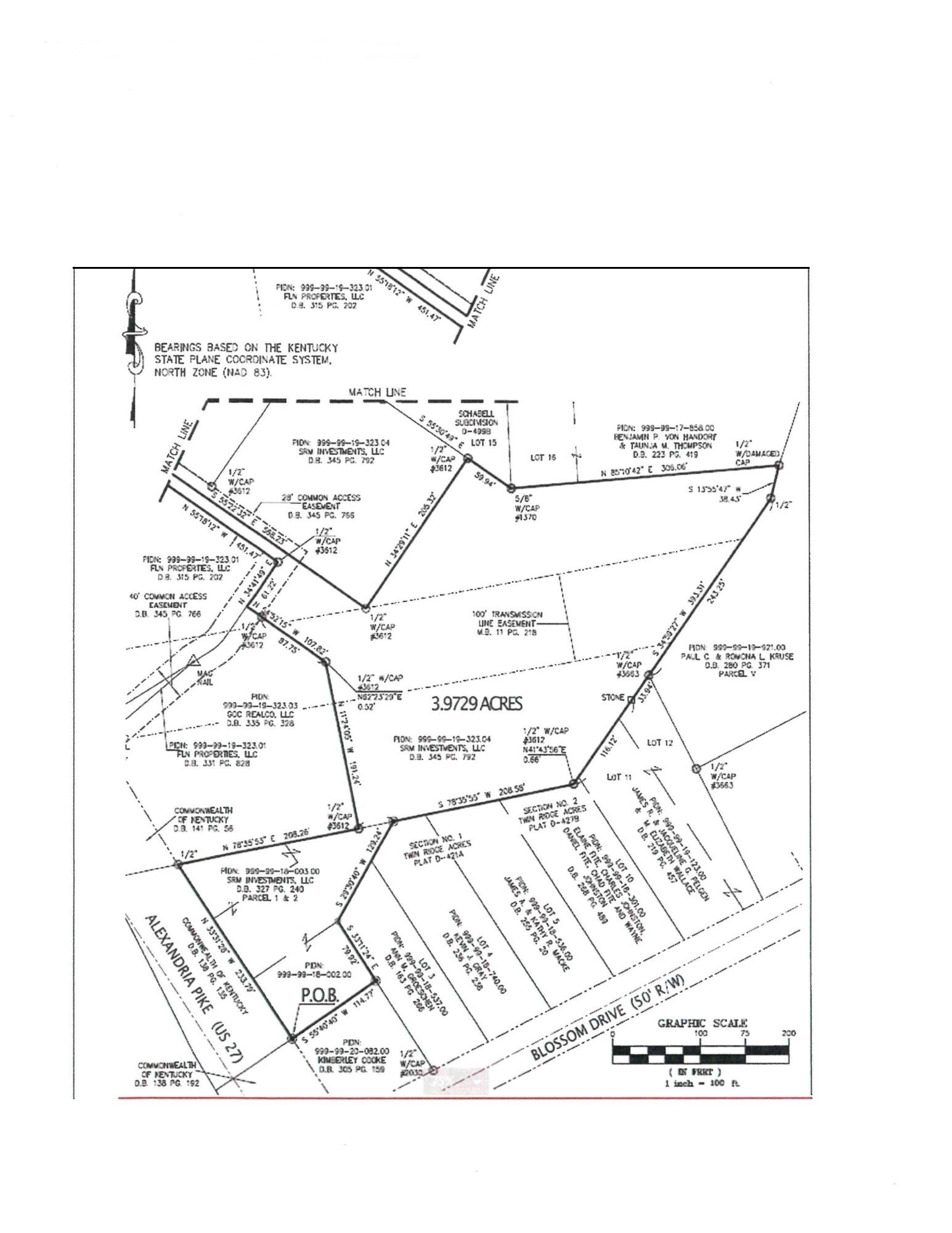
3,97 acres de terres disponibles. Quartier commercial et résidentiel zoné 1-C. Tous les services publics disponibles sur le site. Visible sur l'US 27.
Description
Site idéal pour la vente au détail ou un restaurant ! Emplacement visible de l'US-27. Environ 30 000 véhicules par jour.
Impôts fonciers
| Numéro de lot | 999-99-19-323.05 | Évaluation des bâtiments | 0 $ CAD |
| Évaluation du terrain | 131 323 $ CAD | Évaluation totale | 131 323 $ CAD |
Impôts fonciers
Numéro de lot
999-99-19-323.05
Évaluation du terrain
131 323 $ CAD
Évaluation des bâtiments
0 $ CAD
Évaluation totale
131 323 $ CAD
1 de 3
Vidéos
Visite extérieure 3D Matterport
Visite 3D Matterport
Photos
Vue depuis la rue
Rue
Carte
