Se Connecter/S’inscrire
Votre courriel a été envoyé.
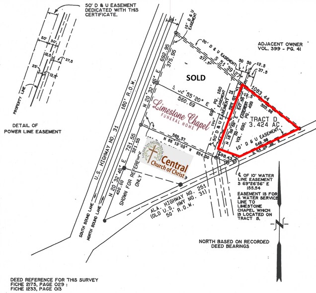
U.S. 31 N - 3.42 Acre Commercial Tract on AL-251 Lot • Terrain commercial • 3,42 Acres • Athens, AL 35611



Certaines informations ont été traduites automatiquement.
Faits saillants de l'investissement
- Façade de la route 31 des États-Unis et de la route 251 AL
- Situé dans Opportunity Zone
- Zone à forte croissance juste après New Publix
Faits sur la propriété
| Type de vente | Investissement ou propriétaire utilisateur | Sous-type de propriété | Terrain commercial |
| Nombre de lots | 1 | Taille totale du lot | 3,42 AC |
| Type de propriété | Terrain | Zone de développement économique |
Oui
|
| Type de vente | Investissement ou propriétaire utilisateur |
| Nombre de lots | 1 |
| Type de propriété | Terrain |
| Sous-type de propriété | Terrain commercial |
| Taille totale du lot | 3,42 AC |
| Zone de développement économique |
Oui |
1 Lot disponible
Lot
| Taille du lot | 3,42 AC |
| Taille du lot | 3,42 AC |
PARCELLE 2 DISPONIBLE. La parcelle 2 comprend 3,42 acres et 550 pieds de façade le long de la route 251 AL.
Description
-7,5 acres disponibles à Athènes, AL -Disponible en une ou deux étendues -Façade le long de la route 31 des États-Unis et de la route 251 AL -Dans le secteur à forte croissance juste après le nouveau Publix -Situé dans la zone d'opportunité -Tous les utilitaires disponibles -Moins de 2 milles de la sortie 354 sur la I-65
1 1
1 de 4
Vidéos
Visite extérieure 3D Matterport
Visite 3D Matterport
Photos
Vue depuis la rue
Rue
Carte
1 de 1
Présenté par
U.S. 31 N - 3.42 Acre Commercial Tract on AL-251
Vous êtes déjà membre? Connectez-vous
Hmm, il semble y avoir eu une erreur lors de l’envoi de votre message. Veuillez réessayer.
Merci! Votre message a été envoyé.
Votre message a été envoyé !
Activez votre compte LoopNet dès maintenant pour suivre les propriétés, recevoir des alertes en temps réel, gagner du temps sur vos demandes futures et bien plus encore.
