Votre courriel a été envoyé.
W Avenue L/26th Stw - Lancaster 14.55 Acres, Residential Lot • Résidentiel • 14,55 Acres • 1 235 010 $ CAD • Lancaster, CA 93534



Certaines informations ont été traduites automatiquement.
Résumé de l'annonce
Faits sur la propriété
1 Lot disponible
Lot
| Prix | 1 235 010 $ CAD | Taille du lot | 14,55 AC |
| Prix par AC | 84 880,45 $ CAD |
| Prix | 1 235 010 $ CAD |
| Prix par AC | 84 880,45 $ CAD |
| Taille du lot | 14,55 AC |
Residential land suitable for single family development Abundant amenities for future residents A growing Los Angeles community with lots of development activity Easy access to Hwy. 14 to access Antelope Valley, San Fernando Valley and Greater Los A
Description
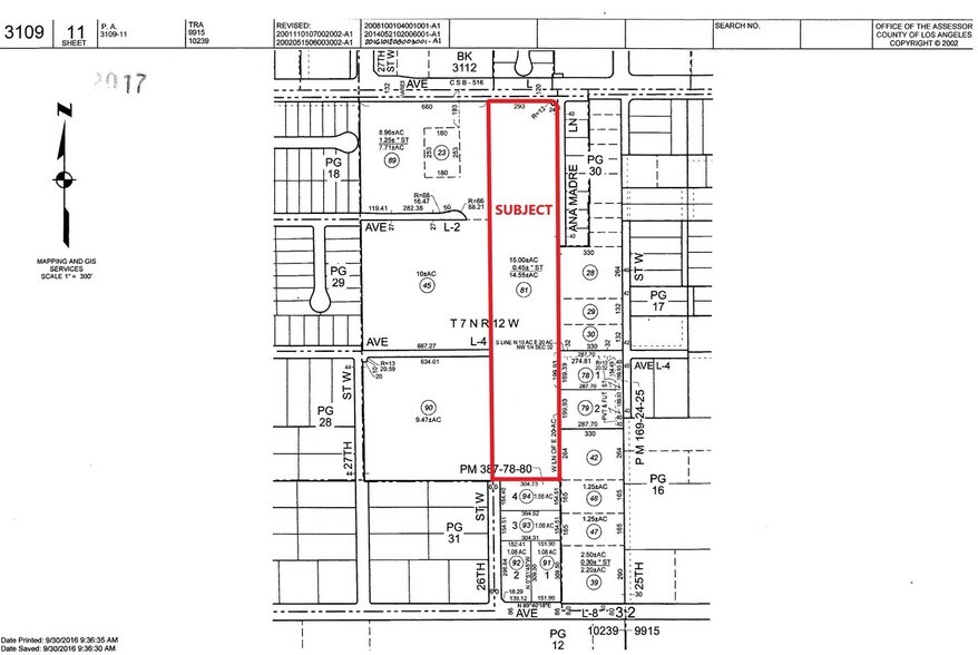
±14,55 acres de terrain résidentiel non aménagé à vendre sur W Ave L à Lancaster; APN : 3109-011-081. Ce lot présente un zonage divisé, avec environ 9,6 acres zonés Résidentiel Semi-Rural (SRR permettant 1 unité d'habitation/20 000 pi²) et le reste zoné Résidentiel Rural (RR-1 permettant 1 unité d'habitation/40 000 pi²). Des discussions préliminaires avec la ville indiquent un soutien pour un changement complet de zonage en SRR, ce qui permettrait un zonage harmonieux et une densité d'unités supplémentaire. Les services d'eau, d'égout et d'électricité sont tous disponibles sur le site. Les commodités environnantes pour les futurs résidents incluent Costco, Target, Stater Bros Markets, Sprouts Farmers Market, Lowe’s Home Improvement, 24 Hour Fitness, Ross Dress for Less, Starbucks, Dave’s Hot Chicken, US Bank, et bien plus encore. Ce site est adjacent à la communauté Primrose de KB Home, une expansion excitante de nouveaux développements qui a déjà vendu plus de la moitié des lots totaux! L'acheteur doit vérifier toutes les informations contenues dans cette annonce. L'agent et ses représentants ne sont pas responsables de l'exactitude de ces affirmations.
Impôts fonciers
| Numéro de lot | 3109-011-081 | Évaluation des bâtiments | 0 $ CAD |
| Évaluation du terrain | 923 235 $ CAD | Évaluation totale | 923 235 $ CAD |
Impôts fonciers
Présenté par
W Avenue L/26th Stw - Lancaster 14.55 Acres, Residential
Hmm, il semble y avoir eu une erreur lors de l’envoi de votre message. Veuillez réessayer.
Merci! Votre message a été envoyé.
