Se Connecter/S’inscrire
Votre courriel a été envoyé.
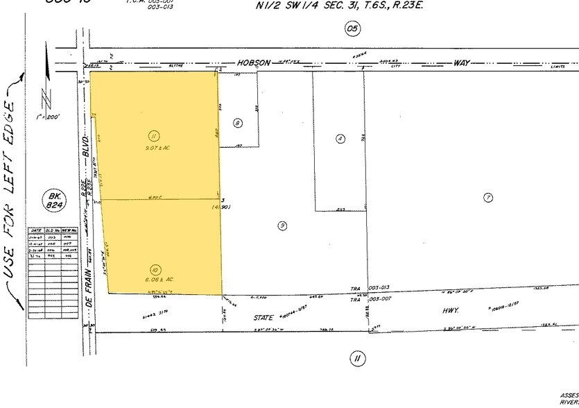
W Hobson Way - 15 AC Mixed-Use Commercial/Industrial Land Lot • Terrain commercial • 15,17 Acres • Blythe, CA 92225



Certaines informations ont été traduites automatiquement.
Faits saillants de l'investissement
- General Commercial Zoning (C-G) Industrial uses allowed per CUP - verify City of Blythe
- Warehousing / Wholesaling Allowed [Subject to Conditional Use Permit (CUP)]
- Land Dimensions 625’ x 1,117’
- Frontage Along I-10 Freeway
- 3 Blocks West of Lovekin Blvd (I-10 Exit / Entrance)
- 625’ Frontage Along Hobsonway
Résumé de l'annonce
Positioned along the I-10 corridor in Blythe, California, 1800 E. Hobsonway presents a rare opportunity to acquire ±15.21 acres of commercially zoned land with exceptional visibility and access. The site benefits from ±625 feet of frontage along Hobsonway and direct exposure to Interstate 10, making it ideal for a wide range of commercial uses including warehousing and wholesaling, subject to a Conditional Use Permit (CUP).
Located just three blocks west of the Lovekin Boulevard interchange, the property offers seamless connectivity to regional transportation routes and is surrounded by a mix of national retailers, hospitality brands, and service providers. Nearby amenities include Grocery Outlet, Dollar Tree, Domino’s, O’Reilly Auto Parts, Denny’s, Taco Bell, and several hotels such as Best Western and Comfort Inn, reinforcing the area’s commercial viability.
The land’s generous dimensions—approximately 625’ x 1,117’—provide flexibility for development, whether for a single-user facility or a multi-tenant configuration. Zoned C-G (General Commercial), the site supports a broad spectrum of commercial activities, and its proximity to Blythe’s civic and retail core enhances its appeal for investors and developers seeking strategic positioning in the Riverside County region.
With its high-traffic location, established infrastructure, and favorable zoning, 1800 E. Hobsonway is well-suited for retail, logistics, or service-oriented development.
Located just three blocks west of the Lovekin Boulevard interchange, the property offers seamless connectivity to regional transportation routes and is surrounded by a mix of national retailers, hospitality brands, and service providers. Nearby amenities include Grocery Outlet, Dollar Tree, Domino’s, O’Reilly Auto Parts, Denny’s, Taco Bell, and several hotels such as Best Western and Comfort Inn, reinforcing the area’s commercial viability.
The land’s generous dimensions—approximately 625’ x 1,117’—provide flexibility for development, whether for a single-user facility or a multi-tenant configuration. Zoned C-G (General Commercial), the site supports a broad spectrum of commercial activities, and its proximity to Blythe’s civic and retail core enhances its appeal for investors and developers seeking strategic positioning in the Riverside County region.
With its high-traffic location, established infrastructure, and favorable zoning, 1800 E. Hobsonway is well-suited for retail, logistics, or service-oriented development.
Faits sur la propriété
1 Lot disponible
Lot 2
| Taille du lot | 15,17 AC |
| Taille du lot | 15,17 AC |
±15.21 Acres Available; along I-10 Freeway-Visibility; 3-blocks from on/off ramps.
Description
15.21 acres along I-10 Freeway in Blythe. Flat, completely visible to I-10.
1 1
Impôts fonciers
| Numéros de lot | Évaluation des bâtiments | 0 $ CAD | |
| Évaluation du terrain | 792 684 $ CAD | Évaluation totale | 792 684 $ CAD |
Impôts fonciers
Numéros de lot
Évaluation du terrain
792 684 $ CAD
Évaluation des bâtiments
0 $ CAD
Évaluation totale
792 684 $ CAD
1 de 4
Vidéos
Visite extérieure 3D Matterport
Visite 3D Matterport
Photos
Vue depuis la rue
Rue
Carte
1 de 1
Présenté par
W Hobson Way - 15 AC Mixed-Use Commercial/Industrial Land
Vous êtes déjà membre? Connectez-vous
Hmm, il semble y avoir eu une erreur lors de l’envoi de votre message. Veuillez réessayer.
Merci! Votre message a été envoyé.
