Se Connecter/S’inscrire
Votre courriel a été envoyé.
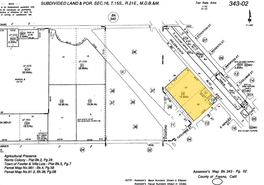
W Tuolumne St
Fowler, CA 93625
228 & 304 N 8th St, Fowler, CA. · Terrain À vendre
·
16,06 AC


Certaines informations ont été traduites automatiquement.
RÉSUMÉ DE L'ANNONCE
16.06 acres is available.
FAITS SUR LA PROPRIÉTÉ Sous contrat
| Type de vente | Investissement | Utilisation proposée | Commercial |
| Nombre de lots | 1 | Taille totale du lot | 16,06 AC |
| Type de propriété | Terrain | Rues transversales | N 8th ST |
| Sous-type de propriété | Terrain commercial | Zone de développement économique |
Oui
|
| Zonage | C-2 - Commercial mixed use | ||
| Type de vente | Investissement |
| Nombre de lots | 1 |
| Type de propriété | Terrain |
| Sous-type de propriété | Terrain commercial |
| Utilisation proposée | Commercial |
| Taille totale du lot | 16,06 AC |
| Rues transversales | N 8th ST |
| Zone de développement économique |
Oui |
| Zonage | C-2 - Commercial mixed use |
1 LOT DISPONIBLE
Lot
| Taille du lot | 16,06 AC |
| Taille du lot | 16,06 AC |
16.06 acres is available.
Impôts fonciers
| Numéros de lot | Évaluation des bâtiments | 0 $ CAD | |
| Évaluation du terrain | 3 014 022 $ CAD | Évaluation totale | 3 014 022 $ CAD |
Impôts fonciers
Numéros de lot
Évaluation du terrain
3 014 022 $ CAD
Évaluation des bâtiments
0 $ CAD
Évaluation totale
3 014 022 $ CAD
1 de 9
VIDÉOS
VISITE EXTÉRIEURE 3D MATTERPORT
VISITE 3D MATTERPORT
PHOTOS
VUE DEPUIS LA RUE
RUE
CARTE
