Se Connecter/S’inscrire
Votre courriel a été envoyé.
Certaines informations ont été traduites automatiquement.
Résumé de l'annonce
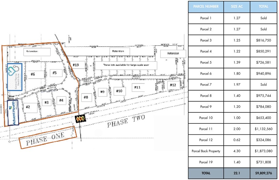
Hardee Crossing will be a major retail center in Wauchula. Located on US Highway 17, the major north south connector in Central Florida with a strong traffic count. Located just south of AdventHealth Hospital and Central Florida Health Care, Hardee Crossing offers prime opportunities for retail and medical development. Located at a major signalized intersection at Hwy 17 and Carlton Street. Infrastructure is in place with access, internal roads and utilities. 1- 6 acre outparcels available with excellent visibility and access in Phase 1. Phase 2 offers 1 to 17 acres for redevelopment. Perfect location for RETAIL, RESTUARANTS, GROCER, MEDICAL, HOTEL
Faits sur la propriété
| Type de vente | Investissement | Sous-type de propriété | Terrain commercial |
| Nombre de lots | 4 | Utilisation proposée | |
| Type de propriété | Terrain | Taille totale du lot | 5,67 AC |
| Zonage | C-2 - Commercial général | ||
| Type de vente | Investissement |
| Nombre de lots | 4 |
| Type de propriété | Terrain |
| Sous-type de propriété | Terrain commercial |
| Utilisation proposée | |
| Taille totale du lot | 5,67 AC |
| Zonage | C-2 - Commercial général |
4 Lots disponibles
Lot 3
| Taille du lot | 1,26 AC |
| Taille du lot | 1,26 AC |
Lot 4
| Taille du lot | 1,22 AC |
| Taille du lot | 1,22 AC |
Lot 5
| Taille du lot | 1,39 AC |
| Taille du lot | 1,39 AC |
Lot 6
| Taille du lot | 1,80 AC |
| Taille du lot | 1,80 AC |
1 1
Plutôt praticable à pied
30/100
Exceptionnellement facile d’accès en voiture
100/100
Impraticable en vélo
10/100
1 de 7
Vidéos
Visite extérieure 3D Matterport
Visite 3D Matterport
Photos
Vue depuis la rue
Rue
Carte
1 de 1
Présenté par
Hardee Crossing
Vous êtes déjà membre? Connectez-vous
Hmm, il semble y avoir eu une erreur lors de l’envoi de votre message. Veuillez réessayer.
Merci! Votre message a été envoyé.



