Votre courriel a été envoyé.
Welcome Way Dr
Ruther Glen, VA 22546
Terrain À vendre
·
9,00 AC


Certaines informations ont été traduites automatiquement.
FAITS SAILLANTS DE L'INVESTISSEMENT
- Situé à côté de 6 hôtels, et se trouve entre le Quality Inn et le Comfort Inn
- Grande plaque tournante des transports (I-95, route Jefferson Davis /US Rt 1, chemin Telegraph /VA-657, boulevard Rogers Clark/route 207, chemin Ruther Glen)
- Situé dans la communauté de l'église Carmel et une partie de la région du Grand Fredericksburg et de l'ASM du Grand Richmond
- Situé à côté du bureau de poste américain, Waffle House, Days Inn, Econo Lodge et bien plus encore.
- Situé à moins de huit milles de Paramount Kings Dominion, un parc à thème et destinations de divertissement de premier plan en Virginie, et de la Virginia State Fair 9
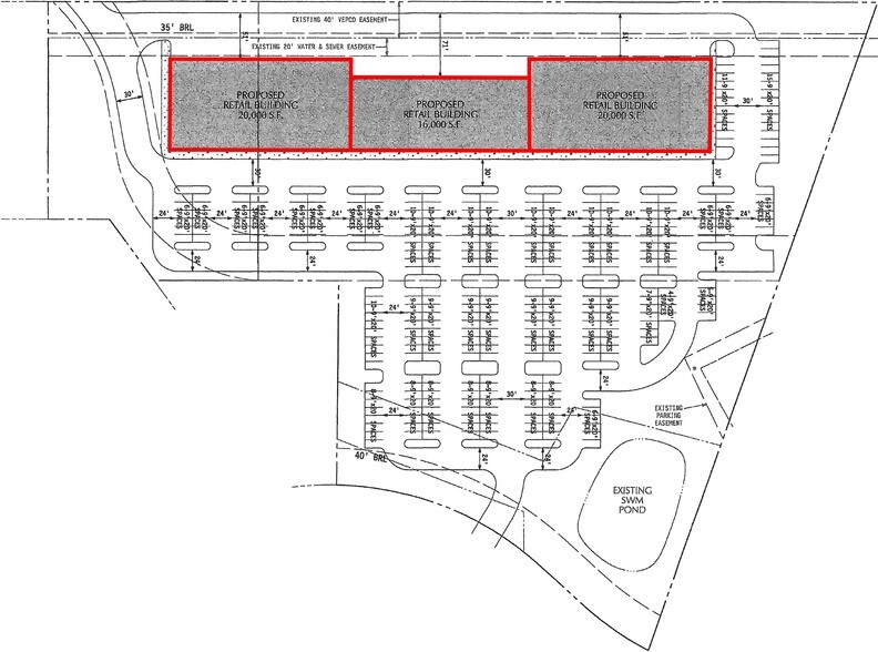
- 56 000 PC DE DÉTAIL MULTI-LOCATAIRES PROPOSÉS
RÉSUMÉ DE L'ANNONCE
De l'I-95 Prendre la sortie en direction de VA-207 W/Rogers Clark Blvd. De l'US 1 VA-207 E/Rogers Clark Blvd en direction de l'I-95 et prendre la 1re à gauche sur State Route F-160/Welcome Way Dr.
Welcome Way Dr, Ruther Glen, Virginie 22546, communauté de l'église Carmel, comté de Caroline, MSA du Grand Richmond et région du Grand Fredericksburg, Association des comtés de Virginie, région numéro 7
FAITS SUR LA PROPRIÉTÉ
| Type de vente | Propriétaire utilisateur | Sous-type de propriété | Terrain commercial |
| Nombre de lots | 1 | Utilisation proposée | |
| Type de propriété | Terrain | Taille totale du lot | 9,00 AC |
| Zonage | B-1 | ||
| Type de vente | Propriétaire utilisateur |
| Nombre de lots | 1 |
| Type de propriété | Terrain |
| Sous-type de propriété | Terrain commercial |
| Utilisation proposée | |
| Taille totale du lot | 9,00 AC |
| Zonage | B-1 |
1 LOT DISPONIBLE
Lot
| Prix | 1 037 542 $ CAD | Taille du lot | 9,00 AC |
| Prix par AC | 115 282,50 $ CAD |
| Prix | 1 037 542 $ CAD |
| Prix par AC | 115 282,50 $ CAD |
| Taille du lot | 9,00 AC |
Raw Land Situé entre deux hôtels (Comfort Inn et City Studios Inn and Suites), un restaurant (le Waffle House) et le bureau USPS Ruther Glen, avec un accès facile depuis l'Interstate 95 (I-95) et une visibilité à partir de celle-ci. Type de zonage : B1/Commercial
DESCRIPTION
Il s'agit d'une excellente occasion pour une parcelle de terrain de vente au détail, située entre le Comfort Inn Ruther Glen et Quality Inn Suites. Cette propriété est située près de Kings Dominion et se trouve le long de l'Insterstate 95. Les autres entreprises voisines comprennent : Waffle House, Exxon, Days Inn, Flying J Travel Plaza, Love's Tavel Stop, Wendy's Flying J Travel Center, Golden Corral Beffet & Grill, Blue Beacon Truck Wash, Mr. Fue Travel Center, Dunkin Donuts, McDonald's et bien plus encore. Ce terrain est actuellement zoné B-1.
Impôts fonciers
| Numéro de lot | 82-13-1 | Évaluation des bâtiments | 0 $ CAD |
| Évaluation du terrain | 1 941 449 $ CAD | Évaluation totale | 1 941 449 $ CAD |
