Se Connecter/S’inscrire
Votre courriel a été envoyé.
Winchester Pike
Canal Winchester, OH 43110
Terrain À vendre
·
13,80 AC


Certaines informations ont été traduites automatiquement.
Faits sur la propriété
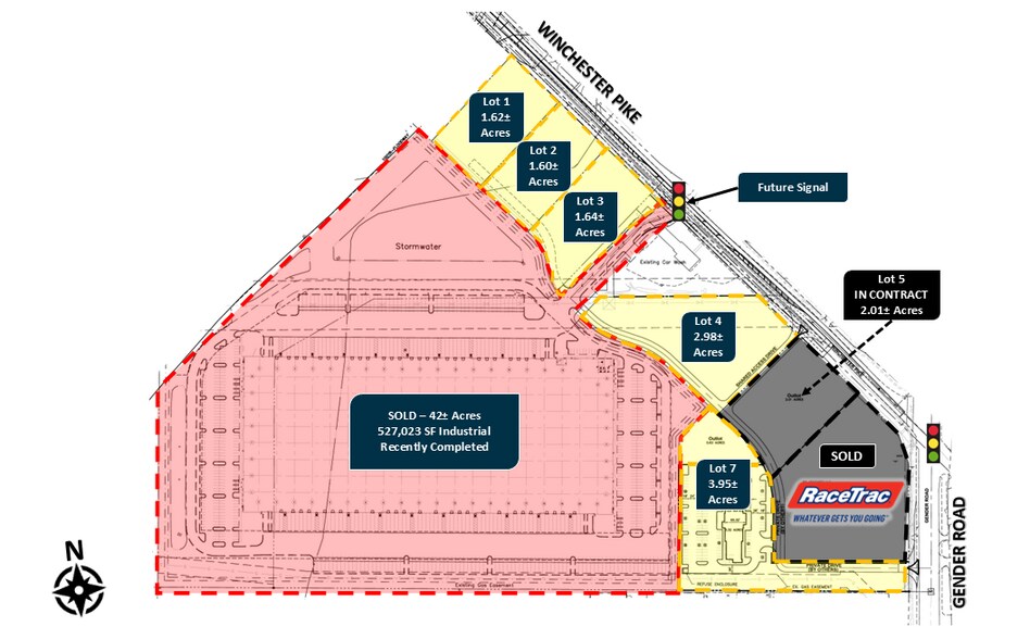
6 Lots disponibles
Lot 1
| Prix | 889 367 $ CAD | Taille du lot | 1,62 AC |
| Prix par AC | 548 992,01 $ CAD |
| Prix | 889 367 $ CAD |
| Prix par AC | 548 992,01 $ CAD |
| Taille du lot | 1,62 AC |
1,62 acre au bord du lot. Idéal pour le restaurant ou le commerce de détail.
Lot 2
| Prix | 988 186 $ CAD | Taille du lot | 1,60 AC |
| Prix par AC | 617 616,02 $ CAD |
| Prix | 988 186 $ CAD |
| Prix par AC | 617 616,02 $ CAD |
| Taille du lot | 1,60 AC |
1,60 acres situées en ligne. Idéal pour le restaurant ou le commerce de détail.
Lot 3
| Prix | 1 125 434 $ CAD | Taille du lot | 1,64 AC |
| Prix par AC | 686 240,02 $ CAD |
| Prix | 1 125 434 $ CAD |
| Prix par AC | 686 240,02 $ CAD |
| Taille du lot | 1,64 AC |
1,64 acre, idéal pour le restaurant ou le commerce de détail. Situé à l'angle avec une intersection signalée.
Lot 4
| Prix | 1 840 496 $ CAD | Taille du lot | 2,98 AC |
| Prix par AC | 617 616,02 $ CAD |
| Prix | 1 840 496 $ CAD |
| Prix par AC | 617 616,02 $ CAD |
| Taille du lot | 2,98 AC |
2,98 acres disponibles à côté d'un lave-auto. Idéal pour le restaurant ou le commerce de détail.
Lot 5
| Taille du lot | 2,01 AC |
| Taille du lot | 2,01 AC |
2,01 acres. Idéal pour le restaurant ou le commerce de détail. PRÉSENTEMENT SOUS CONTRAT
Lot 7
| Prix | 1 355 324 $ CAD | Taille du lot | 3,95 AC |
| Prix par AC | 343 120,01 $ CAD |
| Prix | 1 355 324 $ CAD |
| Prix par AC | 343 120,01 $ CAD |
| Taille du lot | 3,95 AC |
3,95 acres. Idéal pour le restaurant, le commerce de détail ou l'hôtel.
1 de 4
Vidéos
Visite extérieure 3D Matterport
Visite 3D Matterport
Photos
Vue depuis la rue
Rue
Carte
