- 28 760 833 $ CAD
- 1 Lot
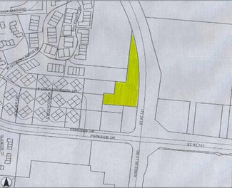
- Un site rare de 26 acres à une nouvelle sortie d'autoroute à Monroe, OH, avec une grande visibilité depuis l'I-75, servant de point d'ancrage pour le développement commercial par phases.
Enchères en dollars américains uniquement
Vos recherches ont porté sur {{saveSearchForm.categorySearchLabel}}. Connectez-vous pour enregistrer votre recherche et recevoir des propriétés supplémentaires par courriel.
You may only select up to 100 properties at a time. Select a smaller number of properties and re-run the report.