- Prix sur demande
- 1 Lot
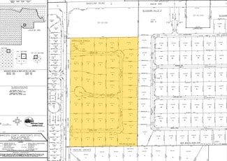
- Possibilité de développement d'assemblages multifamiliaux pour le Valle View at the Point offrant six parcelles zonées R-5, ce qui donne 240 unités dans une zone de remplissage urbain.
Enchères en dollars américains uniquement
Vos recherches ont porté sur {{saveSearchForm.categorySearchLabel}}. Connectez-vous pour enregistrer votre recherche et recevoir des propriétés supplémentaires par courriel.
You may only select up to 100 properties at a time. Select a smaller number of properties and re-run the report.