Se Connecter/S’inscrire
Votre courriel a été envoyé.
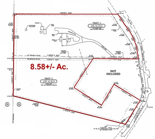
173 Stacie ln - Approx. 8.58 Acre Assemblage 4,12 Acres of Terrain commercial Land



À PROPOS DE 173 STACIE LN , DAWSONVILLE , GA 30534
| Prix | Pas individuellement en vente | Sous-type de propriété | Terrain commercial |
| Type de propriété | Terrain | Taille totale du lot | 4,12 AC |
| Prix | Pas individuellement en vente |
| Type de propriété | Terrain |
| Sous-type de propriété | Terrain commercial |
| Taille totale du lot | 4,12 AC |
1 de 5
VIDÉOS
VISITE EXTÉRIEURE 3D MATTERPORT
VISITE 3D MATTERPORT
PHOTOS
VUE DEPUIS LA RUE
RUE
CARTE
