Se Connecter/S’inscrire
Votre courriel a été envoyé.
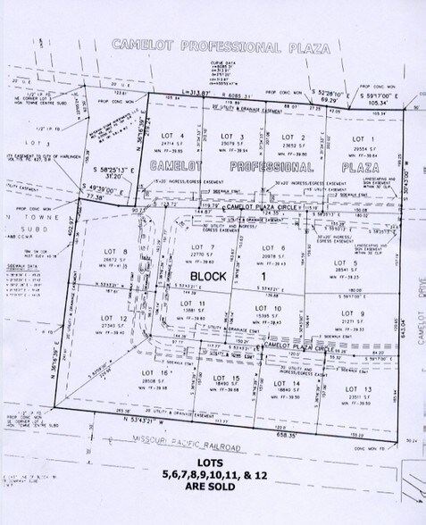
Camelot Plaza Cir 0,54 Acres of Terrain commercial Land


À propos de CAMELOT PLAZA CIR , HARLINGEN , TX 78550
| Prix | Pas individuellement en vente | Sous-type de propriété | Terrain commercial |
| Type de propriété | Terrain | Taille totale du lot | 0,54 AC |
| Prix | Pas individuellement en vente |
| Type de propriété | Terrain |
| Sous-type de propriété | Terrain commercial |
| Taille totale du lot | 0,54 AC |
Résumé de l'annonce
Camelot Plaza Circle - Lot 13 & 14
Pad Site # 13 - 23,511 SF - $7.50 PSF
Pad Site # 14 - 18,840 SF - $6.00 PSF
42,351 SF - maximum contiguous
Located one block from Sunshine Strip and Valley Baptist Hospital.
Mixed use property allowing retail and office use.
Pad Site # 13 - 23,511 SF - $7.50 PSF
Pad Site # 14 - 18,840 SF - $6.00 PSF
42,351 SF - maximum contiguous
Located one block from Sunshine Strip and Valley Baptist Hospital.
Mixed use property allowing retail and office use.
1 de 3
Vidéos
Visite extérieure 3D Matterport
Visite 3D Matterport
Photos
Vue depuis la rue
Rue
Carte
