Se Connecter/S’inscrire
Votre courriel a été envoyé.
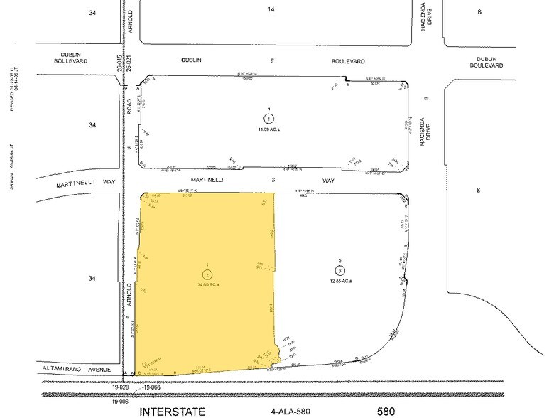
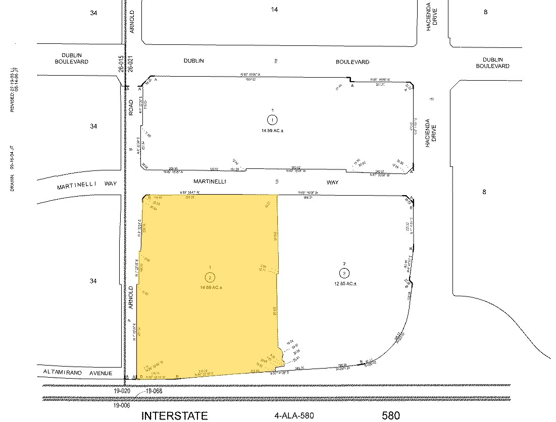
Martinelli Way - Parcel 1 (13.57 acres) 13,57 Acres of Terrain commercial Land



À propos de MARTINELLI WAY , DUBLIN , CA 94568
| Prix | Pas individuellement en vente | Sous-type de propriété | Terrain commercial |
| Type de propriété | Terrain | Taille totale du lot | 13,57 AC |
| Prix | Pas individuellement en vente |
| Type de propriété | Terrain |
| Sous-type de propriété | Terrain commercial |
| Taille totale du lot | 13,57 AC |
Résumé de l'annonce
The original project was a 137,000 square foot specialty lifestyle center divided into nine retail/restaurant buildings. The expanded project will encompass the former IKEA site and will be a total of 27 acres with a 300,000 square foot “lifestyle” and specialty retail and restaurant project with a central “main street” with activated pedestrian-friendly walkways and plazas. The project will provide a “sense of place” and town center gathering place for Dublin’s residents and will be one of the premiere open air retail centers in the East Bay. The project is located in the heart of the Tri-Valley trade area at the intersection of I-580 and Hacienda Boulevard.
All approvals for the original project were obtained in March, 2006 and construction commenced in August, 2006. Construction has been placed on hold while the development of the new, expanded 300,000 square foot project is pursued. Construction of the new project is scheduled to begin in late 2008 with completion scheduled for early 2010.
All approvals for the original project were obtained in March, 2006 and construction commenced in August, 2006. Construction has been placed on hold while the development of the new, expanded 300,000 square foot project is pursued. Construction of the new project is scheduled to begin in late 2008 with completion scheduled for early 2010.
1 de 4
Vidéos
Visite extérieure 3D Matterport
Visite 3D Matterport
Photos
Vue depuis la rue
Rue
Carte
