Se Connecter/S’inscrire
Votre courriel a été envoyé.
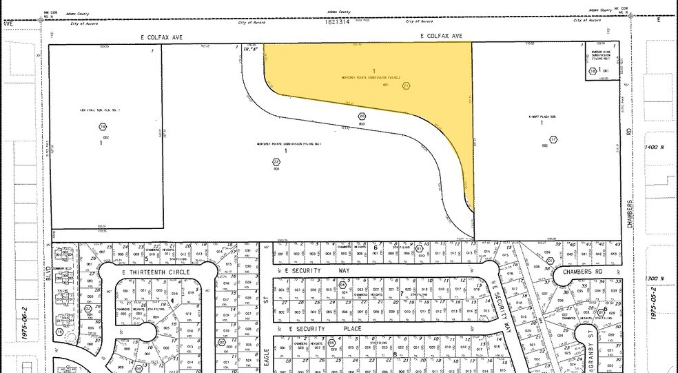
SEC Colfax & Sable - Lot 2 & 3 Block 1 1,14 Acres of Terrain commercial Land



À propos de SEC COLFAX & SABLE , AURORA , CO 80011
| Prix | Pas individuellement en vente | Sous-type de propriété | Terrain commercial |
| Type de propriété | Terrain | Taille totale du lot | 1,14 AC |
| Prix | Pas individuellement en vente |
| Type de propriété | Terrain |
| Sous-type de propriété | Terrain commercial |
| Taille totale du lot | 1,14 AC |
1 de 4
Vidéos
Visite extérieure 3D Matterport
Visite 3D Matterport
Photos
Vue depuis la rue
Rue
Carte
