Se Connecter/S’inscrire
Votre courriel a été envoyé.
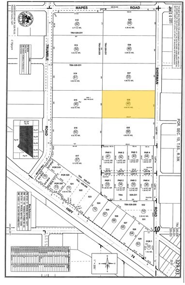
Sherman Rd 4,8 Acres of Terrain industriel Land


À propos de SHERMAN RD , ROMOLAND , CA 92585
| Prix | Pas individuellement en vente | Sous-type de propriété | Terrain industriel |
| Type de propriété | Terrain | Taille totale du lot | 4,80 AC |
| Prix | Pas individuellement en vente |
| Type de propriété | Terrain |
| Sous-type de propriété | Terrain industriel |
| Taille totale du lot | 4,80 AC |
1 de 3
Vidéos
Visite extérieure 3D Matterport
Visite 3D Matterport
Photos
Vue depuis la rue
Rue
Carte
