Log In/Sign Up
Your email has been sent.
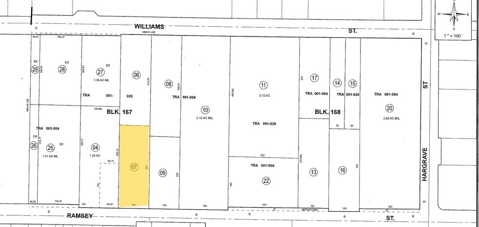
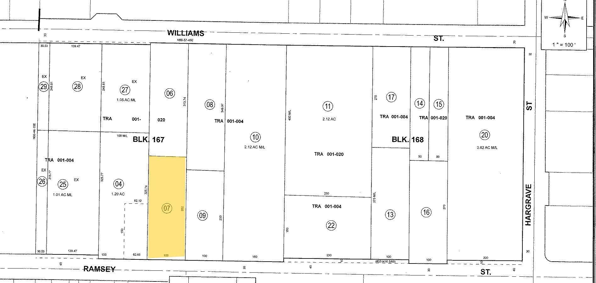
521 E Ramsey St 0.65 Acres of Commercial Land

About 521 E RAMSEY ST , BANNING , CA 92220
| Price | Not Individually For Sale | Total Lot Size | 0.65 AC |
| Property Type | Land | Opportunity Zone |
Yes
|
| Property Subtype | Commercial |
| Price | Not Individually For Sale |
| Property Type | Land |
| Property Subtype | Commercial |
| Total Lot Size | 0.65 AC |
| Opportunity Zone |
Yes |
1 of 2
Videos
Matterport 3D Exterior
Matterport 3D Tour
Photos
Street View
Street
Map
