Log In/Sign Up
Your email has been sent.
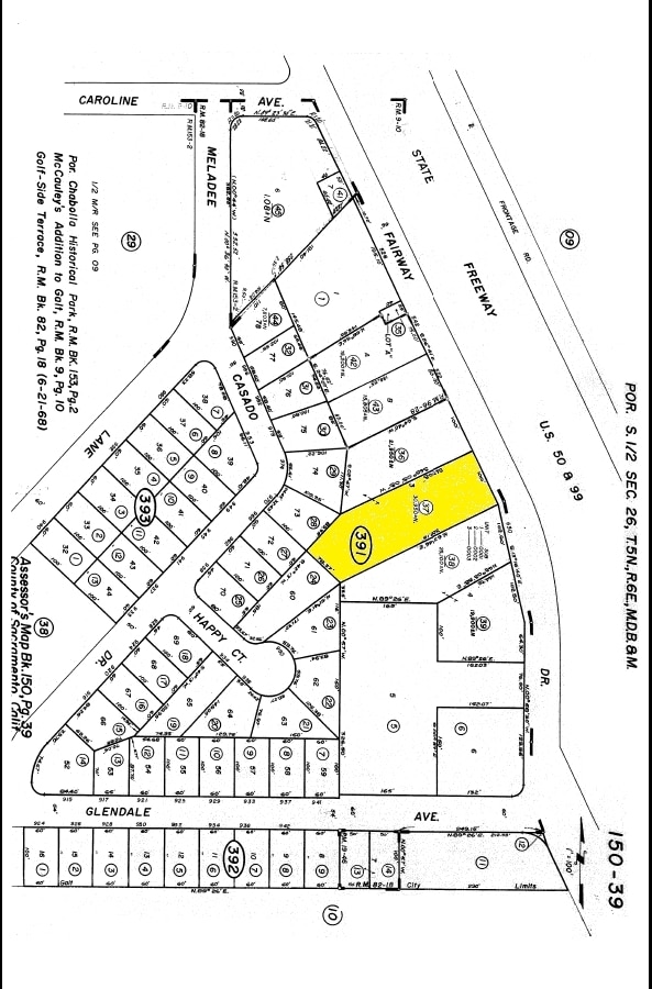
604 Fairway Dr Specialty Building



About 604 FAIRWAY DR , GALT , CA 95632
| Price | Not Individually For Sale | Building Class | B |
| Property Type | Specialty | Lot Size | 0.71 AC |
| Property Subtype | Car Wash | Parking Ratio | 4.79/1,000 SF |
| Price | Not Individually For Sale |
| Property Type | Specialty |
| Property Subtype | Car Wash |
| Building Class | B |
| Lot Size | 0.71 AC |
| Parking Ratio | 4.79/1,000 SF |
1 of 6
Videos
Matterport 3D Exterior
Matterport 3D Tour
Photos
Street View
Street
Map
