Log In/Sign Up
Your email has been sent.
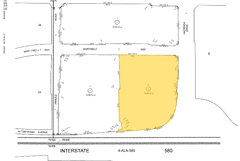
Martinelli Way - Parcel 2 (12.82 acres) 12.82 Acres of Commercial Land


About MARTINELLI WAY , DUBLIN , CA 94568
| Price | Not Individually For Sale | Property Subtype | Commercial |
| Property Type | Land | Total Lot Size | 12.82 AC |
| Price | Not Individually For Sale |
| Property Type | Land |
| Property Subtype | Commercial |
| Total Lot Size | 12.82 AC |
Executive Summary
The original project was a 137,000 square foot specialty lifestyle center divided into nine retail/restaurant buildings. The expanded project will encompass the former IKEA site and will be a total of 27 acres with a 300,000 square foot “lifestyle” and specialty retail and restaurant project with a central “main street” with activated pedestrian-friendly walkways and plazas. The project will provide a “sense of place” and town center gathering place for Dublin’s residents and will be one of the premiere open air retail centers in the East Bay. The project is located in the heart of the Tri-Valley trade area at the intersection of I-580 and Hacienda Boulevard.
All approvals for the original project were obtained in March, 2006 and construction commenced in August, 2006. Construction has been placed on hold while the development of the new, expanded 300,000 square foot project is pursued. Construction of the new project is scheduled to begin in late 2008 with completion scheduled for early 2010.
All approvals for the original project were obtained in March, 2006 and construction commenced in August, 2006. Construction has been placed on hold while the development of the new, expanded 300,000 square foot project is pursued. Construction of the new project is scheduled to begin in late 2008 with completion scheduled for early 2010.
1 of 3
Videos
Matterport 3D Exterior
Matterport 3D Tour
Photos
Street View
Street
Map
