Log In/Sign Up
Your email has been sent.
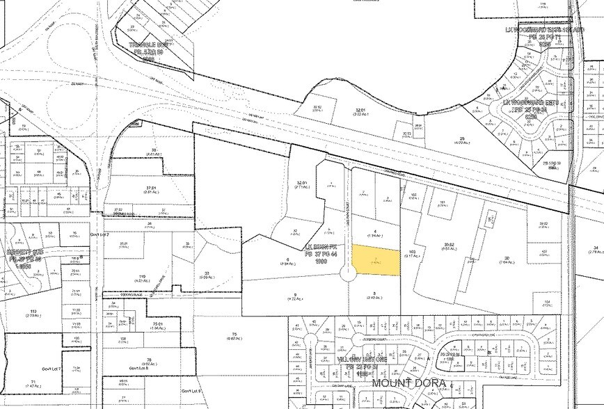
US HWY 441 1.44 Acres of Commercial Land



About US HWY 441 , MOUNT DORA , FL 32757
| Price | Not Individually For Sale | Property Subtype | Commercial |
| Property Type | Land | Total Lot Size | 1.44 AC |
| Price | Not Individually For Sale |
| Property Type | Land |
| Property Subtype | Commercial |
| Total Lot Size | 1.44 AC |
1 of 6
Videos
Matterport 3D Exterior
Matterport 3D Tour
Photos
Street View
Street
Map
