Votre courriel a été envoyé.
303 Main St Terrain à louer de 0,57 acres • Terrain commercial • Tilton, NH 03276



Certaines informations ont été traduites automatiquement.
Faits saillants
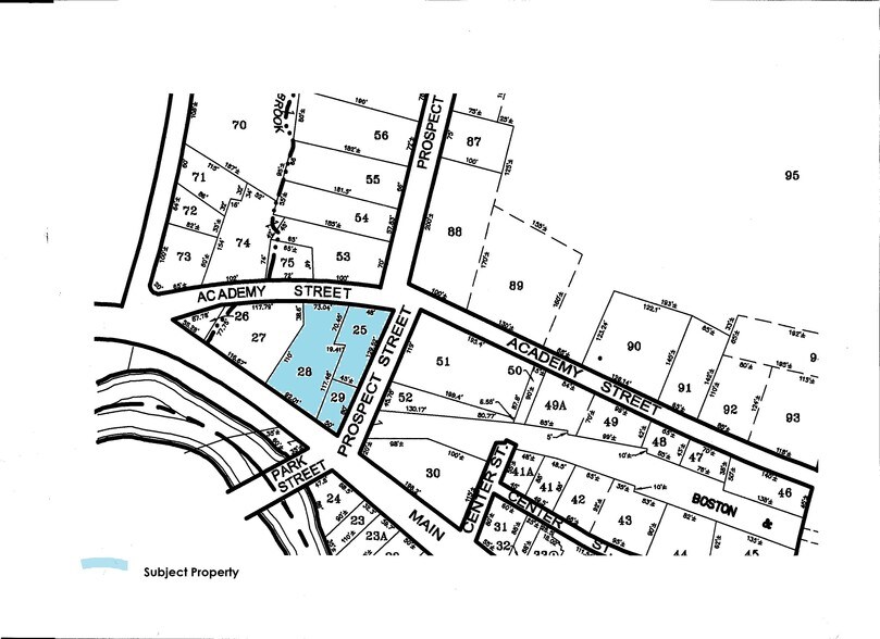
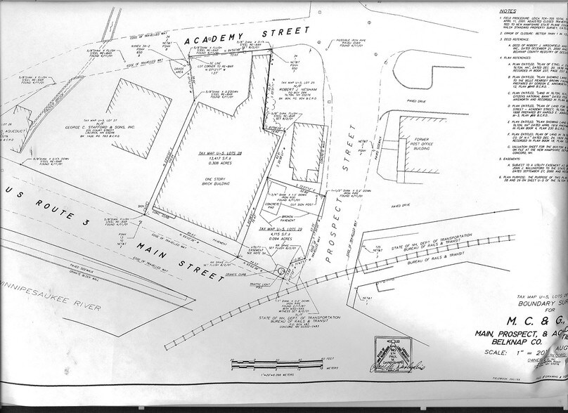
- 134 pieds de façade sur la rue Main Ouest
- Façade d'environ 185 pieds sur la rue Prospect
- Façade d'environ 113 pieds sur la rue Academy
- 7 000+/- Sq. Ft. Structure de maçonnerie construite en 1926
LOT Disponible
Afficher les taux de location en
| Taux de location |
|
Taille du lot | 0,57 AC |
| Durée du bail | Négociable |
| Taux de location | |
| Durée du bail | Négociable |
| Taille du lot | 0,57 AC |
$100,000/ Year
Aperçu de la propriété
Ce terrain d'une demi-acre et plus traverse le pâté de maisons à un emplacement stratégique à Tilton, NH, ce qui en fait un endroit idéal pour toutes les opérations nécessitant une traversée en voiture ou plusieurs traversées. La parcelle a une façade sur trois routes. Plus de 16 millions de véhicules passent chaque année la propriété. Intersection signalée de la rue Main Ouest et de la rue Prospect avec façade sur la rue Academy. La propriété comprend les deux coins de la rue Prospect. Ce site est adjacent à un dépanneur Stafford existant et en face de l'école Tilton, une école préparatoire privée reconnue à l'échelle nationale. La propriété a deux coupes en bordure de rue Prospect, une sur la rue Academy et l'autre sur la rue Main. La propriété comporte deux bâtiments, qui peuvent être enlevés. L'un des bâtiments est en maçonnerie et est essentiellement un bâtiment de 7 000+/- pi2 qui a le potentiel d'avoir une importance historique et d'être admissible au crédit d'impôt pour la remise en état de 20 %. Cette propriété se trouve dans une ZONE OPPORTABLE au sens de la Loi sur la réforme fiscale de 2017 et est admissible au traitement spécial et favorable de l'impôt sur le revenu des pensionnats indiens.
Faits sur la propriété
| Superficie totale disponible | 0,57 AC | Sous-type de propriété | Terrain commercial |
| Type de propriété | Terrain | Utilisation proposée | Commerce de détail |
| Superficie totale disponible | 0,57 AC |
| Type de propriété | Terrain |
| Sous-type de propriété | Terrain commercial |
| Utilisation proposée | Commerce de détail |
Présenté par
303 Main St
Hmm, il semble y avoir eu une erreur lors de l’envoi de votre message. Veuillez réessayer.
Merci! Votre message a été envoyé.
