Se Connecter/S’inscrire
Votre courriel a été envoyé.
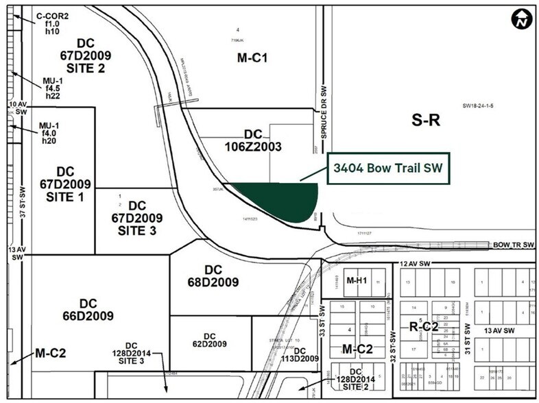
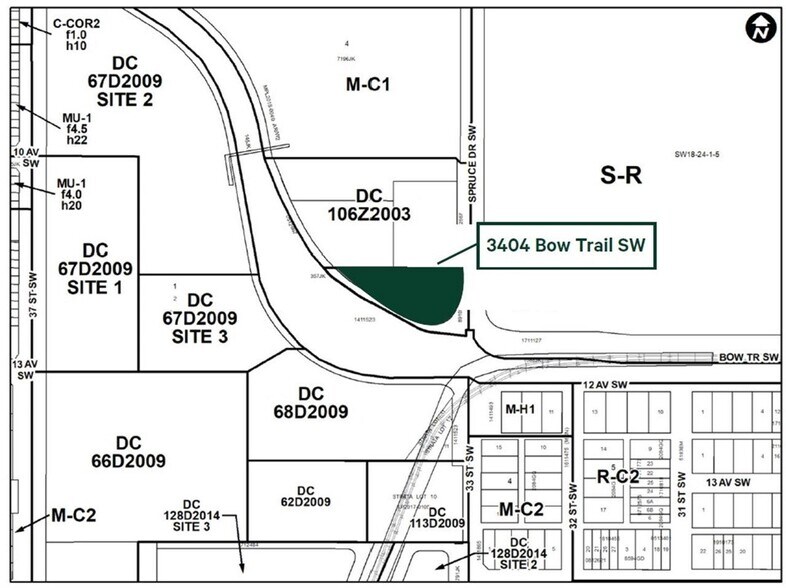
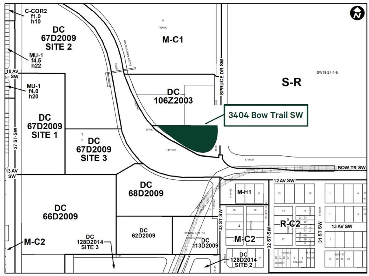
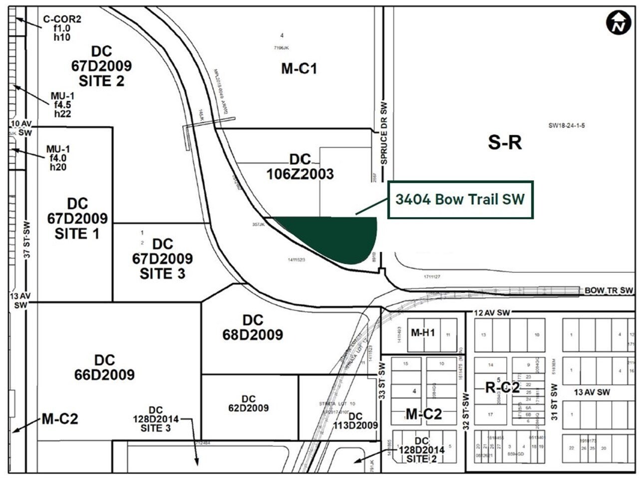
3404 Bow Trl SW
Calgary, AB T3C 2E6
Terrain À vendre
·
0,92 AC


Certaines informations ont été traduites automatiquement.
Faits saillants de l'investissement
- Façade proéminente le long de Bow Trail offrant une visibilité exceptionnelle et une exposition à des volumes de trafic élevés.
- Situé dans le quartier bien établi de Spruce Cliff, entouré de densité résidentielle et d'aménagements locaux.
- Accès pratique au centre-ville de Calgary et aux principales routes de transport, améliorant la connectivité.
Résumé de l'annonce
Ce terrain de 0,92 acre situé au 3404 Bow Trail SW représente une occasion rare pour les investisseurs et les développeurs dans la communauté de Spruce Cliff à Calgary. Situé le long de l'un des corridors les plus visibles et les plus fréquentés de la ville, le site offre une exposition et une accessibilité exceptionnelles pour un futur développement commercial. Sa position le long de Bow Trail assure une forte connectivité au centre-ville de Calgary et aux quartiers environnants, ce qui en fait une option attrayante pour des projets de commerce de détail, de bureaux ou à usage mixte.
Faits sur la propriété Sous contrat
1 Lot disponible
Lot
| Taille du lot | 0,92 AC |
| Taille du lot | 0,92 AC |
0,92 acre de terre brute située à un carrefour très achalanté. Idéal pour le développement commercial.
Description
La propriété est zonée pour un usage commercial (C-N2), offrant une flexibilité pour une gamme de concepts de développement. Grâce à sa proximité avec les grandes routes, les transports en commun et les zones résidentielles établies, le site bénéficie d'un flux de circulation constant et d'une clientèle intégrée. Cette offre convient parfaitement aux propriétaires-utilisateurs cherchant un emplacement de choix ou aux investisseurs souhaitant tirer parti de la croissance urbaine continue et des tendances de réaménagement à Calgary.
1 de 3
Vidéos
Visite extérieure 3D Matterport
Visite 3D Matterport
Photos
Vue depuis la rue
Rue
Carte
