Votre courriel a été envoyé.
Certaines informations ont été traduites automatiquement.
Faits saillants de l'investissement
- Accès/Sortie Exceptionnels
- Proximité immédiate de la cour intermodale de CP
- Taxes fonciers réduits
- Prêt pour un développement immédiat
Résumé de l'annonce
Faits sur la propriété
| Type de vente | Investissement | Sous-type de propriété | Terrain commercial |
| Nombre de lots | 1 | Taille totale du lot | 5,33 AC |
| Type de propriété | Terrain |
| Type de vente | Investissement |
| Nombre de lots | 1 |
| Type de propriété | Terrain |
| Sous-type de propriété | Terrain commercial |
| Taille totale du lot | 5,33 AC |
1 Lot disponible
Lot 1
| Taille du lot | 5,33 AC |
| Taille du lot | 5,33 AC |
650 000 $ par acre Services jusqu'à la voie routière Zoné IL - Industriel léger
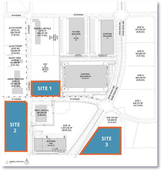
Description
Lot 1 : 5,33 acres | 1540 - 37 Avenue, Nisku - 650 000 $ par acre - Services jusqu’à la voie publique - Zoné IL - Industriel léger Lot 2 : 14,52 acres | 3650 - 13 Street, Nisku - Peut être subdivisé en quatre parcelles de 3,63 acres - 575 000 $ par acre (pour les 14,52 acres complets) - 640 000 $ par acre (pour les parcelles subdivisées) - Services dans la voie publique - Zoné IL - Industriel léger Lot 3 : 10,52 acres - Peut être subdivisé - 695 000 $ par acre (pour les 10,52 acres complets) - Services dans la voie publique - Exposition exceptionnelle - Zoné BPT - Parc d’affaires en transition
Présenté par
3650 13 St - Border Business Park Lands
Hmm, il semble y avoir eu une erreur lors de l’envoi de votre message. Veuillez réessayer.
Merci! Votre message a été envoyé.




