Commercial Real Estate in Ohio available for sale
Motels For Sale

Motels for Sale in Ohio, USA

More details for 904 Scott Dr, Piqua, OH - Retail for Sale

New "BBB" Credit Darden Rest. Opening Soon! - 904 Scott Dr

Piqua, OH 45356

  • Motel
  • Retail for Sale
  • $4,218,861 CAD
  • 6,500 SF
  • Air Conditioning
  • Security System
  • Restaurant
  • Smoke Detector

Piqua Retail for Sale - North Dayton

• Brand New S&P "BBB" Investment Grade Tenant (Corporate Lease with Darden - NYSE: DRI ) Opening January 2026 • Corporately Backed, Single-Tenant Location with High-Profile, Investment Grade, Publicly-Traded Olive Garden (NYSE: DRI (Darden)/S&P “BBB”/Moody’s “Baa2”): Brand- New Lease with a Full 10 Years of Term Remaining (No Early Termination Rights) • Brand-New Construction: Anticipated Opening in December, 2025 with Rental Rates Approximately 60% Below Market Comparables! • Ideal Absolute NNN Lease Structure with 10% Rental Increase in Year-6, Along with (6) 5-Year Option Periods with Increases • Unique Ground Lease Structure Allowing for Significant Asset Depreciation • Redeveloped Oversized (1.53-Acre) Parcel with Adjacent, Brand-New Hampton Inn and Brand-New Chipotle for Continued Increased Foot Traffic • Ideal Demographics with Average Household Incomes of Approx. $80,000 (5 Mile Radius) in a Growing Residential Community with Emerging Employers, Commuter Traffic and Strategic Location Equidistant from Both Major Cities, Cincinnati and Columbus, Ohio • Strong Tenancy: Backed by Darden with Over 2,165 Restaurants and Revenue of $11.8 Billion • Positioned with Excellent Access and Visibility Along Piqua’s Main Roadway (US 36) and Directly Adjacent to Major Highway I-75, with Over 76,000 VPD Surrounding the Property • Latest Olive Garden “Prototype Look” Including Highly Visible Pylon Signage • Sits Across from Kettering Health Piqua, Premier Health Women’s Center, Numerous Other Medical Offices, Insurance Agencies, Social Security Administration and Board of Education Office Drawing Traffic to the Corridor • Largest Single Site Employer in Ohio: Home to Wright-Patterson Air Force Base with 30,000 Airmen, Civilian and Contractor Employees • Direct Vicinity of Home Depot/Miami Valley Crossing Shopping Center and Walmart Supercenter in Main Retail Corridor Surrounded by Loads of Other Complimentary Retailers • Dayton Rated #3 City in the Nation Out of the Top 50 Cities in the United States by HealthGrades for “Excellence in Health Care,” Site Selection Magazine Ranked Dayton the “#1 Medium Sized MSA in the U.S. for Economic Development” and According to Bloomberg Businessweek, “Dayton is One of the Best Places in the U.S. for College Graduates to Find a Job” • Direct Vicinity of Large Population Base: Over One Million People in the Greater Dayton Area and Only 22 Miles to Dayton International Airport

Contact:

Cooper Commercial Investment Group

Property Subtype:

Restaurant

Date on Market:

2025-12-22

Hide
See More
More details for Portage Lakes Legacy Portfolio – Retail for Sale, Akron, OH

Portage Lakes Legacy Portfolio

  • Motel
  • Retail for Sale
  • $8,000,109 CAD
  • 24,678 SF
  • 2 Retail Properties
See More
More details for 43945 Marietta Rd, Caldwell, OH - Hospitality for Sale

Days Inn & Suites Caldwell - 43945 Marietta Rd

Caldwell, OH 43724

  • Motel
  • Hospitality for Sale
  • $4,786,390 CAD
  • 37,647 SF
See More
More details for 902 Scott Dr, Piqua, OH - Retail for Sale

Highest CAP Rate New 15 Yr Chipotle on Market - 902 Scott Dr

Piqua, OH 45356

  • Motel
  • Retail for Sale
  • $3,883,814 CAD
  • 2,325 SF
  • Security System
  • Restaurant
  • Wheelchair Accessible
  • Smoke Detector

Piqua Retail for Sale - North Dayton

• Reduced Price! Highest CAP Rate New 15 Year Construction Chipotle on Market • Corporate, Single-Tenant Location with High-Profile, Publicly Traded Chipotle Mexican Grill (NYSE: CMG): Brand-New Lease with a Full 15 Years of Term Remaining (No Early Termination Rights) and 10% Rental Increase in Years 6 & 11 • Brand-New Construction: Anticipated Opening on September 23, 2025 (Rent Commences on Opening Date) • NN Lease with No Daily Management Responsibilities, Tenant Responsible for All Roof R&M, As Well As Replacement • Redeveloped Parcel with Adjacent, Brand-New Hampton Inn and Brand-New Olive Garden for Continued Increased Foot Traffic • Ideal Demographics with Average Household Incomes of Approx. $80,000 (5 Mile Radius) in a Growing Residential Community with Emerging Employers, Commuter Traffic and Strategic Location Equidistant from Both Major Cities, Cincinnati and Columbus, Ohio • Strong Tenancy: Over 3,200 Restaurants Worldwide and 2024 Revenue of $11.314 Billion, Representing a 14.61% Increase Over the Previous Year • Positioned with Excellent Access and Visibility Along Piqua’s Main Roadway (US 36) and Directly Adjacent to Major Highway I-75, with Over 76,000 VPD Surrounding the Property • Latest Chipotle “Prototype Look” Including Chipotlane Drive-Thru and Highly Visible Pylon Signage • Sits Across from Kettering Health Piqua, Premier Health Women’s Center, Numerous Other Medical Offices, Insurance Agencies, Social Security Administration and Board of Education Office Drawing Traffic to the Corridor • Largest Single Site Employer in Ohio: Home to Wright-Patterson Air Force Base with 30,000 Airmen, Civilian and Contractor Employees • Direct Vicinity of Home Depot/Miami Valley Crossing Shopping Center and Walmart Supercenter in Main Retail Corridor Surrounded by Loads of Other Complimentary Retailers • Dayton Rated #3 City in the Nation Out of the Top 50 Cities in the United States by HealthGrades for “Excellence in Health Care,” Site Selection Magazine Ranked Dayton the “#1 Medium Sized MSA in the U.S. for Economic Development” and According to Bloomberg Businessweek, “Dayton is One of the Best Places in the U.S. for College Graduates to Find a Job” • Large Population Base: Over One Million People in the Greater Dayton Area and Only 22 Miles to Dayton International Airport

Contact:

Cooper Commercial Investment Group

Date on Market:

2025-12-08

Hide
See More
More details for 41371 Reco Rd, Belmont, OH - Hospitality for Sale

Sleep Inn & Suites Belmont St Clairsville - 41371 Reco Rd

Belmont, OH 43718

  • Motel
  • Hospitality for Sale
  • $5,195,284 CAD
  • 34,608 SF
See More
More details for 1601 State Route 4, Bucyrus, OH - Hospitality for Sale

HideAway Country Inn - 1601 State Route 4

Bucyrus, OH 44820

  • Motel
  • Hospitality for Sale
  • $1,367,540 CAD
  • 15,980 SF
See More
More details for 1036 E State St, Alliance, OH - Specialty for Sale

1036 E State St

Alliance, OH 44601

  • Motel
  • Specialty for Sale
  • $950,440 CAD
  • 7,052 SF
See More
More details for 187 W Ohio Ave, Dover, OH - Land for Sale

Vacant Land - Dover - 187 W Ohio Ave

Dover, OH 44622

  • Motel
  • Land for Sale
  • $2,393,195 CAD
  • 2.10 AC Lot
See More
More details for 9528 Diamond Centre Dr, Mentor, OH - Retail for Sale

9528 Diamond Centre Dr

Mentor, OH 44060

  • Motel
  • Retail for Sale
  • $1,360,702 CAD
  • 2,992 SF

Mentor Retail for Sale - Northeast

Positioned in the heart of Mentor’s thriving retail corridor, 9528 Diamond Centre Drive offers a rare opportunity to acquire a fully renovated and expanded restaurant, bar, and retail site with built-in brewing capabilities. Originally transformed in 2016 and expanded in 2021, this 2,992± SF property is ideally suited for national food service operators or local entrepreneurs seeking a turnkey hospitality venue. The site features a private events room, outdoor patio, and two ADA-compliant restrooms, all complemented by a lower-level space equipped for craft brewing and wine production. With 29 dedicated parking spaces, including two handicapped spots, the property ensures convenience for both staff and guests. Located on a signalized corner with direct access to Heisley Road and State Route 2, the property benefits from strong visibility and traffic counts exceeding 17,900 vehicles per day. Surrounding national retailers such as Sam’s Club, Menards, and Home Depot reinforce the area’s commercial vitality, while nearby hospitality anchors like Residence Inn and Hampton Inn & Suites support consistent foot traffic. The site sits within a dense trade area with over 97,000 residents within a five-mile radius and average household incomes exceeding $106,000. In addition to the real estate, the Mentor Brewing Company business—including its name, license, recipes, furniture, fixtures, and equipment—is available separately for $275,000, offering a seamless transition for buyers seeking a fully operational concept.

Contact:

Global Real Estate Advisors, Inc.

Property Subtype:

Restaurant

Date on Market:

2025-10-24

Hide
See More
More details for 10 Rockridge Rd, Englewood, OH - Hospitality for Sale

Quality Inn Dayton Airport - 10 Rockridge Rd

Englewood, OH 45322

  • Motel
  • Hospitality for Sale
  • $6,147,092 CAD
  • 88,882 SF
  • Fitness Center
  • Pool
  • Restaurant

Englewood Hospitality for Sale - North Dayton

The Quality Inn At Dayton Airport in Englewood, OH is a 148-room, four-story, interior-corridor hotel conveniently located just seven minutes from Dayton International Airport and sixteen minutes from downtown Dayton, OH, with easy access to Interstate 70 and 75. The property is well maintained and recently had ninety-nine of its owner's property improvement plan (PIP) completed. It continues to perform strongly, with 2024 revenue in excess of $1.11Million. Amenities include a laundry facility, dining room and bar (full liquor license) with pool table, meeting room and business center, successful Banquet Hall, breakfast area, vending machines, picnic area, bus parking, and heated indoor pool. Currently, 122 rooms are operational with 26 rooms needing minimal work to be rentable, creating upside potential for a new buyer. The hotel is currently absentee-owned, presenting a strong upside for an on-site owner/operator to drive additional revenue through active management. Dayton with a population over one hundred and thirty-six thousand, benefits from a diversified economy anchored by aerospace defense and research with Wright -Patterson Air Force Base, air force research laboratory (AFRL), University Of Dayton Research Institute, advance manufacturing healthcare and bioscience with Kettering Health Care and Premier Health having multiple hospitals and medical centers, tourism and outdoor recreation including the National Museum of US Air Force, The Dayton Art Institute, Boonshoft Museum of Discovery, and the Carillon Historical Park, Day Air and Dayton Dragon Ball Park and Dayton Convention Center to name a few. Most notably, GE Aerospace is investing $100 Million in its SW Ohio facilities along with the Ohio Future Fund providing $78.75 million for upgrades to Dayton Airport Defense and Aerospace Campus, all major developments for the region. For hotel investors, Dayton offers stable year-round demand supported by military, corporate, healthcare, and leisure segments. The city benefits from affordable operating costs, a diversified economy, and limited new hotel supply compared to larger metros. With convention center upgrades, expanding trail systems, and large-scale projects such as Joby Aviation’s new eVTOL manufacturing facility, lodging demand is expected to strengthen further. Dayton provides a compelling opportunity for investors seeking resilient performance, balanced demand drivers, and attractive acquisition pricing in a growing Midwestern market.

Contact:

Amber Hotel Company

Property Subtype:

Hotel

Date on Market:

2025-10-21

Hide
See More
More details for 6161 US Route 127 N, Eaton, OH - Hospitality for Sale

New Budget Inn - 6161 US Route 127 N

Eaton, OH 45320

  • Motel
  • Hospitality for Sale
  • $2,051,310 CAD
  • 22,456 SF
See More
More details for 12714 US Highway 250 N, Milan, OH - Land for Sale

12.5 Acre Commercial Development Opportunity - 12714 US Highway 250 N

Milan, OH 44846

  • Motel
  • Land for Sale
  • $676,932 CAD
  • 12.52 AC Lot
See More
More details for 1342 Hebron Rd, Heath, OH - Hospitality for Sale

Starlite Motel - 1342 Hebron Rd

Heath, OH 43056

  • Motel
  • Hospitality for Sale
  • $1,914,556 CAD
  • 11,638 SF
See More
More details for Rosewood Place, Rosebud Party Center – Specialty for Sale, Lorain, OH

Rosewood Place, Rosebud Party Center

  • Motel
  • Specialty for Sale
  • $895,739 CAD
  • 13,447 SF
  • 3 Specialty Properties

Lorain Portfolio of properties for Sale - Lorain County

This exceptional turnkey commercial property in a high-traffic location presents a rare opportunity for entrepreneurs and investors alike with Turnkey Banquet Hall, Catering Business, and Income-Generating Barbershop. Prime Commercial Real Estate Opportunity with huge growth potential as current owners currently concentrate on weekend business only. Dual Event Venues: • Rose Bud: Ideal for intimate gatherings and smaller events. • Rosewood Place: Perfectly suited for larger celebrations and events. • Fully Equipped Kitchen: A modern, updated kitchen for food preparation and service supports both event spaces and catering operations. • Income-Generating Barbershop: Long term tenant in separate storefront barbershop provides consistent lease income, diversifying the property's revenue stream. • Heavy Traffic Area: High visibility and constant exposure in a bustling area drive business and provide marketing advantages. • ADA Approved: The property's ADA compliance ensures accessibility for all patrons and reduces potential legal liabilities. Benefits for buyers/investors: • High growth potential: Capitalize on the demand for event spaces and catering services in a thriving community. • Reduced startup costs: Take advantage of an existing setup with established amenities and infrastructure. • Prime Location: Maximize exposure and customer engagement in a high-visibility and easily accessible area. This unique property is an exceptional opportunity to acquire a robust business with significant growth potential and a secure income stream.

Contact:

Howard Hanna Real Estate Services

Date on Market:

2025-08-28

Hide
See More
More details for 1945 Southgate Pky, Cambridge, OH - Hospitality for Sale

Quality Inn Cambridge - 1945 Southgate Pky

Cambridge, OH 43725

  • Motel
  • Hospitality for Sale
  • $3,213,719 CAD
  • 45,209 SF
See More
More details for 2002 Cincinnati Dayton Rd, Middletown, OH - Retail for Sale

2002 Cincinnati Dayton Rd

Middletown, OH 45044

  • Motel
  • Retail for Sale
  • $1,094,032 CAD
  • 3,528 SF
See More
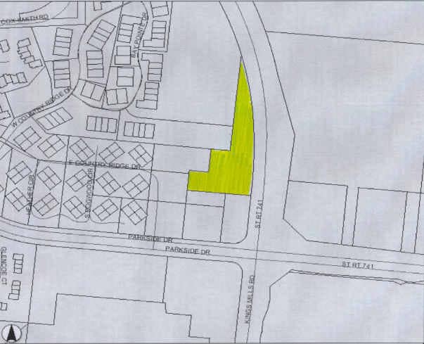
More details for 5524 Parkside Dr, Mason, OH - Land for Sale

B-3 Zoned Acreage - 5524 Parkside Dr

Mason, OH 45040

  • Motel
  • Land for Sale
  • $1,162,409 CAD
  • 2.64 AC Lot
See More
More details for 150 Stanfield, Troy, OH - Land for Sale

150 Stanfield

Troy, OH 45373

  • Motel
  • Land for Sale
  • $326,842 CAD
  • 2.33 AC Lot
See More
More details for 11410 State Route 250, Milan, OH - Hospitality for Sale

Days Inn by Wyndham Milan Sandusky South - 11410 State Route 250

Milan, OH 44846

  • Motel
  • Hospitality for Sale
  • $3,213,719 CAD
  • 33,266 SF
  • Pool

Milan Hospitality for Sale - Erie County

Days Inn Milan is a 66-room, two-story interior corridor hotel located in Milan, Ohio. Strategically positioned along the high-traffic I-80/90 Ohio Turnpike and directly off U.S. Route 250. The property offers easy access to Sandusky, Cedar Point Amusement Park, and the scenic shores of Lake Erie, making it a convenient choice for both leisure and business travelers. Cedar Point, known as “America’s Roller Coast.”, welcomed over 4.05 million visitors in 2023, making it the most-visited amusement park in the U.S. outside of Florida and California. The property is in good condition, with recent updates completed, and a manageable PIP anticipated upon transfer. In 2021 and 2022, the property generated annual revenues of over $900,000, but it has underperformed under current management. Despite this, performance has improved in 2025, with June revenue up nearly 15% year-over-year, signaling positive momentum and a clear path to revenue recovery. A new Love's Travel Stop ($12M project) will soon be built and open just down the road from the hotel, further increasing demand in the area. Interested buyers are invited to contact us for further information, to schedule a property visit, or to submit an offer. All property visits are by appointment only. Please do not contact the hotel or speak with the staff. In cooperation with Thomas D'Amico (OH Lic #BRKP.0000177678).

Contact:

Amber Hotel Company

Property Subtype:

Hotel

Date on Market:

2025-07-29

Hide
See More
More details for 4113 Wyoga Lake rd, Stow, OH - Retail for Sale

Dunkin' Ground Lease - 4113 Wyoga Lake rd

Stow, OH 44224

  • Motel
  • Retail for Sale
  • $2,740,550 CAD
  • 1,682 SF

Stow Retail for Sale - Akron

The subject property is strategically positioned at the signalized hard corner of E Steels Corners Road and Wyoga Lake Road (19,446 AADT), less than one mile from State Route 8 (65,009 AADT), which provides direct access to downtown Akron, approximately 9 miles south. The surrounding area includes approximately 43,000 residents within a 3-mile radius with an average household income of $106,745. Nearby tenants include Wing Warehouse Sports Bar, Doodle Drive-In, McDonald’s, Circle K, Sheetz, Texas Roadhouse, and BP. The site also benefits from proximity to several national hotel brands including Fairfield Inn & Suites, Home2 Suites, Courtyard by Marriott, Staybridge Suites, Hampton Inn, and more. Multiple schools are located within a 1.5-mile radius, including Walsh Jesuit High School, Cuyahoga Valley Christian Academy, and Woolridge High School, Middle School, and Elementary School—serving a combined enrollment of over 3,700 students. Cuyahoga Falls is the second-largest city in Summit County, Ohio (population 535,733), located just 9 miles north of Akron and 32 miles south of Cleveland. The city is strategically positioned along State Route 8, which offers direct access to downtown Akron and extends north from Front Street in Cuyahoga Falls to Public Square in downtown Cleveland, providing strong regional connectivity. In Association with ParaSell, Inc. | A Licensed Ohio Broker #REC.2020005946

Contact:

Fisher James Capital

Property Subtype:

Fast Food

Date on Market:

2025-07-16

Hide
See More
More details for 367 E High St, Warren, OH - Retail for Sale

367 E High St

Warren, OH 44481

  • Motel
  • Retail for Sale
  • $490,947 CAD
  • 17,656 SF
See More
1-24 of 101

Motels For Sale

Motels

Looking to lease a Motel? View Motels for lease