Se Connecter/S’inscrire
Votre courriel a été envoyé.
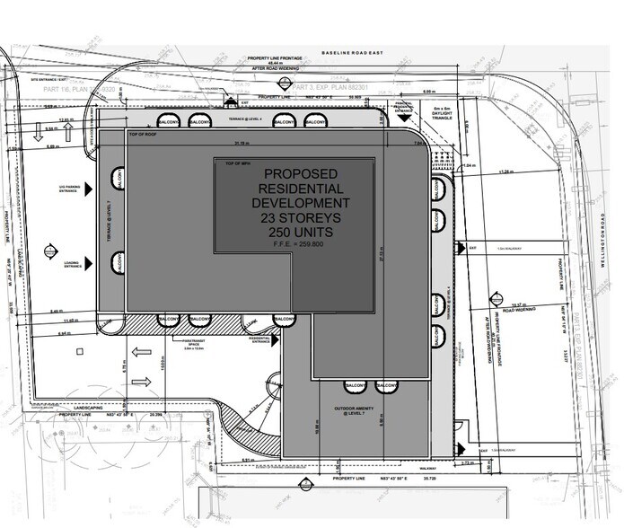
359 Wellington Rd Lot • Terrain commercial • 0,54 Acres • 4 600 000 $ CAD • London, ON N6C 4P9


Certaines informations ont été traduites automatiquement.
Faits sur la propriété
| Prix | 4 600 000 $ CAD | Sous-type de propriété | Terrain commercial |
| Type de vente | Investissement | Utilisation proposée | Unités d’appartements |
| Nombre de lots | 1 | Taille totale du lot | 0,54 AC |
| Type de propriété | Terrain | Rues transversales | Base Line Rd E |
| Zonage | R9-7(58)*H73 - résidentiel | ||
| Prix | 4 600 000 $ CAD |
| Type de vente | Investissement |
| Nombre de lots | 1 |
| Type de propriété | Terrain |
| Sous-type de propriété | Terrain commercial |
| Utilisation proposée | Unités d’appartements |
| Taille totale du lot | 0,54 AC |
| Rues transversales | Base Line Rd E |
| Zonage | R9-7(58)*H73 - résidentiel |
1 Lot disponible
Lot
| Prix | 4 600 000 $ CAD | Taille du lot | 0,54 AC |
| Prix par AC | 8 518 518,52 $ CAD |
| Prix | 4 600 000 $ CAD |
| Prix par AC | 8 518 518,52 $ CAD |
| Taille du lot | 0,54 AC |
Terrain de développement de 0,547 acre en zone urbaine avec une visibilité exceptionnelle le long de la route Wellington.
Description
Terrain de 0,547 acre pour développement en milieu urbain avec une visibilité exceptionnelle le long de la route Wellington.
1 1
Walk Score®
Très pratique à pied (85)
1 de 3
Vidéos
Visite extérieure 3D Matterport
Visite 3D Matterport
Photos
Vue depuis la rue
Rue
Carte
1 de 1
Présenté par
359 Wellington Rd
Vous êtes déjà membre? Connectez-vous
Hmm, il semble y avoir eu une erreur lors de l’envoi de votre message. Veuillez réessayer.
Merci! Votre message a été envoyé.
Votre message a été envoyé !
Activez votre compte LoopNet dès maintenant pour suivre les propriétés, recevoir des alertes en temps réel, gagner du temps sur vos demandes futures et bien plus encore.
