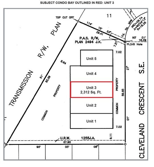
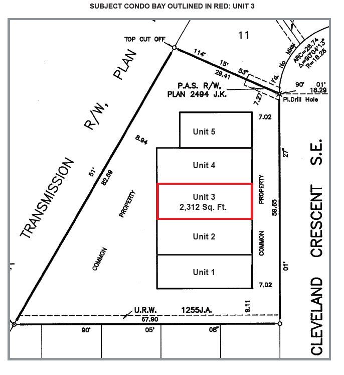
524-532 Cleveland Cres SE | Calgary, AB T2G 4A9
Cette fonctionnalité n’est pas disponible pour le moment.
Nous sommes désolés, mais la fonctionnalité à laquelle vous essayez d’accéder n’est pas disponible actuellement. Nous sommes au courant de ce problème et notre équipe déploie tous les efforts pour le résoudre.
Veuillez vérifier de nouveau dans quelques minutes. Nous nous excusons pour ce désagrément.
- Équipe LoopNet
Cette Industriel propriété n’est plus annoncé sur LoopNet.ca.
524-532 Cleveland Cres SE
Calgary, AB T2G 4A9
Industriel Propriété À vendre

RÉSUMÉ DE L'ANNONCE
À seulement 11 minutes de marche de la station de CTrain 39th Avenue (850 m) - ou 3 minutes en voiture.
FAITS SUR LA PROPRIÉTÉ
| Type de propriété | Industriel | Nombre d’étages | 1 |
| Sous-type de propriété | Entrepôt | Année de construction | 1963 |
| Classe d’immeuble | C | Ratio de stationnement | 0,6/1 000 pi² |
| Taille du lot | 0,81 AC | Nbre d’entrées dans les portes/au niveau du sol | 4 |
| Aire du bâtiment louable | 11 737 pi² | Numéro de lot/Numéro de parcelle | 090522764 |
| Zonage | I-G - Industriel Général | ||
| Type de propriété | Industriel |
| Sous-type de propriété | Entrepôt |
| Classe d’immeuble | C |
| Taille du lot | 0,81 AC |
| Aire du bâtiment louable | 11 737 pi² |
| Nombre d’étages | 1 |
| Année de construction | 1963 |
| Ratio de stationnement | 0,6/1 000 pi² |
| Nbre d’entrées dans les portes/au niveau du sol | 4 |
| Numéro de lot/Numéro de parcelle | 090522764 |
| Zonage | I-G - Industriel Général |
COMMODITÉS
- Affichage
- Éclairage accentué
- Éclairage encastré
ID d’inscription: 18434974
Date de mise sur le marché: 2020-02-06
Dernière mise à jour:
Adresse: 524-532 Cleveland Cres SE, Calgary, AB T2G 4A9
Le Suburban South Industriel Propriété à 524-532 Cleveland Cres SE, Calgary, AB T2G 4A9 n’est plus annoncé sur LoopNet.ca. Contacter le courtier pour obtenir des renseignements sur la disponibilité.
INDUSTRIEL PROPRIÉTÉS DANS LES QUARTIERS PROCHES
INSCRIPTIONS À PROXIMITÉ
- 3003 11 St SE, Calgary AB
- 3624 Burnsland Rd SE, Calgary AB
- 4807 32nd St SE, Calgary AB
- 4412 Manilla Rd SE, Calgary AB
- 4412 9 St SE, Calgary AB
- 5008-5010 Macleod Trl SW, Calgary AB
- 5035-5075 11 St SE, Calgary AB
- 1301-1313 Hastings Cres SE, Calgary AB
- 2828 54th Ave SE, Calgary AB
- 4980 25th St SE, Calgary AB
1 de 1
VIDÉOS
VISITE EXTÉRIEURE 3D MATTERPORT
VISITE 3D MATTERPORT
PHOTOS
VUE DEPUIS LA RUE
RUE
CARTE

Lien copié
Votre compte LoopNet a été créé !
Merci de vos commentaires
Veuillez partager vos commentaires
Nous vous invitons à nous faire part de vos commentaires sur la façon dont nous pouvons améliorer LoopNet afin de mieux répondre à vos besoins.X
{{ getErrorText(feedbackForm.starRating, "Ce notation") }}
255 Limite de caractères ({{ remainingChars() }} caractèrecaractères restantsur)
{{ getErrorText(feedbackForm.msg, "Ce notation") }}
{{ getErrorText(feedbackForm.fname, "Ce prénom") }}
{{ getErrorText(feedbackForm.lname, "Ce nom") }}
{{ getErrorText(feedbackForm.phone, "Ce numéro de téléphone") }}
{{ getErrorText(feedbackForm.phonex, "Cette extension de téléphone") }}
{{ getErrorText(feedbackForm.email, "Cet email") }}
Vous pouvez fournir des commentaires en tout temps avec le bouton Aide en haut de la page.