Se Connecter/S’inscrire
Votre courriel a été envoyé.
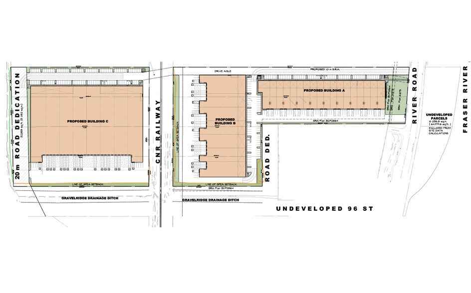
9538-9568 River Rd - 9538 & 9548 River Rd and 9558 & 9568 96th St Lot • Terrain commercial • 14,74 Acres • Delta, BC V4G 1B5



Certaines informations ont été traduites automatiquement.
Faits saillants de l'investissement
- Excellente connectivité aux principaux centres de transport, y compris Deltaport, le terminal de ferry de Tsawwassen, l'aéroport YVR et la frontière Canada/États-Unis.
- Comprend un accord d'accès pour le passage des véhicules et des services publics à travers les voies ferrées de BNSF, offrant une flexibilité pour les développements futurs.
- Tous les services publics sont disponibles à la limite de la propriété, et une évaluation environnementale de site de phase 2, un rapport géotechnique et un rapport d'arboriste ont été réalisés.
Résumé de l'annonce
À VENDRE | 14,74 acres de terrain de développement industriel à Delta, en bordure de l'autoroute 17 - Tilbury Lands
Cette propriété de 14,74 acres de zone industrielle située dans la zone industrielle de Tilbury à Delta offre une valeur exceptionnelle, avec une façade privilégiée le long de la route 17 et un accès direct au bord de l'eau. Son emplacement stratégique offre une connectivité inégalée aux principaux carrefours logistiques tels que Deltaport, la gare maritime de Tsawwassen, l'aéroport de YVR et la frontière canado-américaine par les autoroutes 17, 91 et 99. Alors que l'offre de terrains industriels dans la région continue de diminuer, ce site exclusif offre aux promoteurs et aux propriétaires-occupants une occasion rare de capitaliser sur la demande croissante de locaux de distribution et d'entreposage dans la région.
• Le changement de zonage n'est pas nécessaire
• Tous les services publics sont disponibles le long du chemin River, à la limite de propriété.
• La phase 2 de l'évaluation environnementale du site est terminée. Analyse du rapport géotechnique disponible
• Une entente d'accès aux voies ferrées de la BNSF est en place pour la circulation des véhicules sur les voies ferrées et pour l'accès des services publics sous les voies ferrées
• Un rapport d'arboriste est rempli
Cette propriété de 14,74 acres de zone industrielle située dans la zone industrielle de Tilbury à Delta offre une valeur exceptionnelle, avec une façade privilégiée le long de la route 17 et un accès direct au bord de l'eau. Son emplacement stratégique offre une connectivité inégalée aux principaux carrefours logistiques tels que Deltaport, la gare maritime de Tsawwassen, l'aéroport de YVR et la frontière canado-américaine par les autoroutes 17, 91 et 99. Alors que l'offre de terrains industriels dans la région continue de diminuer, ce site exclusif offre aux promoteurs et aux propriétaires-occupants une occasion rare de capitaliser sur la demande croissante de locaux de distribution et d'entreposage dans la région.
• Le changement de zonage n'est pas nécessaire
• Tous les services publics sont disponibles le long du chemin River, à la limite de propriété.
• La phase 2 de l'évaluation environnementale du site est terminée. Analyse du rapport géotechnique disponible
• Une entente d'accès aux voies ferrées de la BNSF est en place pour la circulation des véhicules sur les voies ferrées et pour l'accès des services publics sous les voies ferrées
• Un rapport d'arboriste est rempli
Faits sur la propriété
1 Lot disponible
Lot 18-21
| Taille du lot | 14,74 AC |
| Taille du lot | 14,74 AC |
Cette propriété de 14,74 acres de zone industrielle située dans la zone industrielle de Tilbury à Delta offre une valeur exceptionnelle, avec une façade privilégiée le long de la route 17 et un accès direct au bord de l'eau.
Impraticable à pied
10/100
Exceptionnellement facile d'accès en voiture
100/100
Transports en commun relativement accessibles
40/100
Moyennement praticable en vélo
60/100
1 de 5
Vidéos
Visite extérieure 3D Matterport
Visite 3D Matterport
Photos
Vue depuis la rue
Rue
Carte
Présenté par
9538-9568 River Rd - 9538 & 9548 River Rd and 9558 & 9568 96th St
Vous êtes déjà membre? Connectez-vous
Hmm, il semble y avoir eu une erreur lors de l’envoi de votre message. Veuillez réessayer.
Merci! Votre message a été envoyé.

